pacific island

Iam Tongi becomes first Pacific Islander to win 'American Idol'

Iam Tongi, an 18-year-old from Hawaii made history this week after becoming the first Pacific Islander to win the “American Idol”.
26 May 2023, 10:23 AM

Clean-up begins in Fiji after cyclone

A clean-up operation begins after the most severe cyclone to hit Fiji in living memory killed at least 20. Rescue workers say that number could rise as some of the worst-hit outlying islands have yet to be reached.
22 February 2016, 05:32 AM

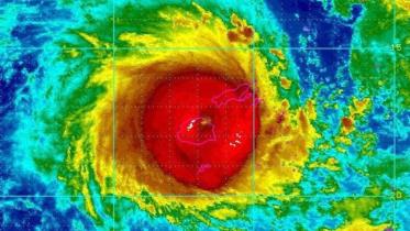
Cyclone Winston: Fiji braces for powerful storm

Fiji is braced for the arrival of Cyclone Winston, in what could be the Pacific island nation's most powerful storm on record.
20 February 2016, 11:19 AM